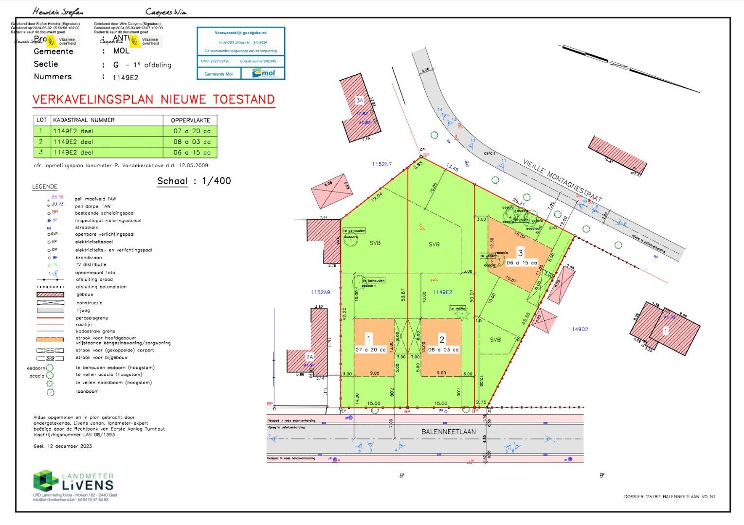
Ruime bouwgrond van 803 m², centraal gelegen in Wezel !
EUR 159.000
Vieille Montagnestraat 3 2, 2400 Mol
Deze ruime bouwgrond van 803 m² is ideaal gelegen in Wezel, met een vlotte verbinding naar omliggende gemeenten. De locatie combineert rust met bereikbaarheid, perfect voor wie op zoek is naar een aangename woonomgeving.
Het perceel beschikt over een straatbreedte van 15 meter en een diepte van 53,87 meter, en is bestemd voor open bebouwing. De toekomstige woning mag een maximale gevelbreedte van 9 meter hebben en een bouwdiepte van maximaal 12 meter.
Bouwvoorschriften:
- Gelijkvloers: maximaal 9 m breed en 12 m diep
- Vrije keuze van dakvorm
- Mogelijkheid tot het plaatsen van een tuinhuis van 12 m²
- Toegankelijk via 2 straten
* De render is visueel om een idee te geven voor een potentiële koper.
Algemeen
- Type
- Grond
Grond - Prijs
- € 159.000
- Beschikbaarheid
- Vanaf akte
Buiten
- Perceel opp.
- 803,00 m²
- Oriëntatie tuin
- Zuidwest
- Riolering
- Ja
- Terreinbreedte
- 15,00 m
- Terreindiepte
- 53,87 m
- Gevelbreedte
- 9,00 m
Comfort
- Elektriciteit
- Ja
- Aansluiting water
- Ja
Stedenbouwkundige informatie
- Bestemming
- Woongebied
- Bouwvergunning
- Ja
- Verkavelingsvergunning
- Ja
- Voorkooprecht
- Nee
- Dagvaarding
- Geen rechterlijke herstelmaatregel of bestuurlijke maatregel opgelegd
- P-score
- A
Downloads

Uw expert
Jef Van de vorst
+32 491 344 933
jef@verlindenvastgoed.be
Niet gevonden wat je zocht?
Laat ons zoeken!