Zonnig perceel bouwgrond van 615 m², centraal gelegen in Wezel !
EUR 139.000
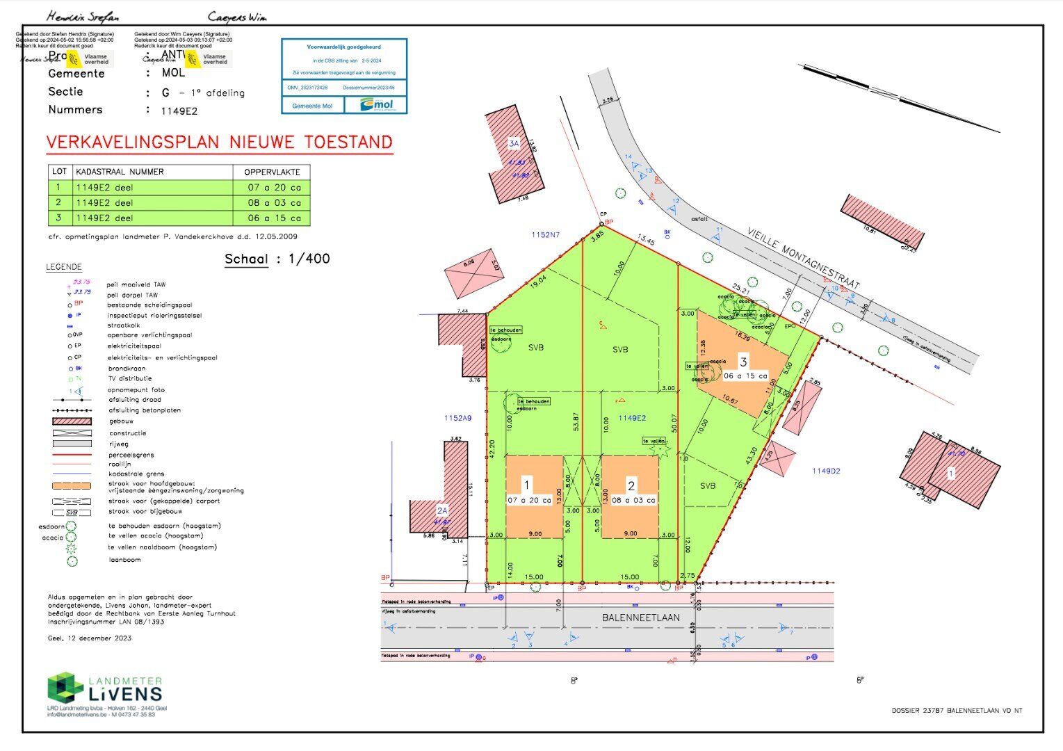
Vieille Montagnestraat 3 3, 2400 Mol
Deze bouwgrond van 615 m² is ideaal gelegen in Wezel, met een vlotte verbinding naar omliggende gemeenten. De locatie combineert rust met bereikbaarheid, perfect voor wie op zoek is naar een aangename woonomgeving.
Het perceel beschikt over een straatbreedte van 25,21meter en een diepte van 50,07meter, en is bestemd voor open bebouwing. De toekomstige woning mag een maximale gevelbreedte van 16,29 meter hebben en een bouwdiepte van maximaal 12 meter.
Bouwvoorschriften:
- Gelijkvloers: maximaal 25,21 m breed en 12 m diep
- Vrije keuze van dakvorm
- Mogelijkheid tot het plaatsen van een tuinhuis van 12 m²
- Toegankelijke via 2 straten
- Inpandige garage verplicht
* De render is visueel om een idee te geven voor een potentiële koper.
Algemeen
- Type
- Grond
Grond - Prijs
- € 139.000
- Beschikbaarheid
- Vanaf akte
Buiten
- Perceel opp.
- 615,00 m²
- Oriëntatie tuin
- Zuidoost
- Riolering
- Ja
- Terreinbreedte
- 25,12 m
- Terreindiepte
- 50,07 m
- Gevelbreedte
- 16,29 m
Comfort
- Elektriciteit
- Ja
- Aansluiting water
- Ja
Stedenbouwkundige informatie
- Bestemming
- Woongebied
- Bouwvergunning
- Ja
- Verkavelingsvergunning
- Ja
- Voorkooprecht
- Nee
- Dagvaarding
- Geen rechterlijke herstelmaatregel of bestuurlijke maatregel opgelegd
- P-score
- A
Downloads

Uw expert
Jef Van de vorst
+32 491 344 933
jef@verlindenvastgoed.be
Niet gevonden wat je zocht?
Laat ons zoeken!