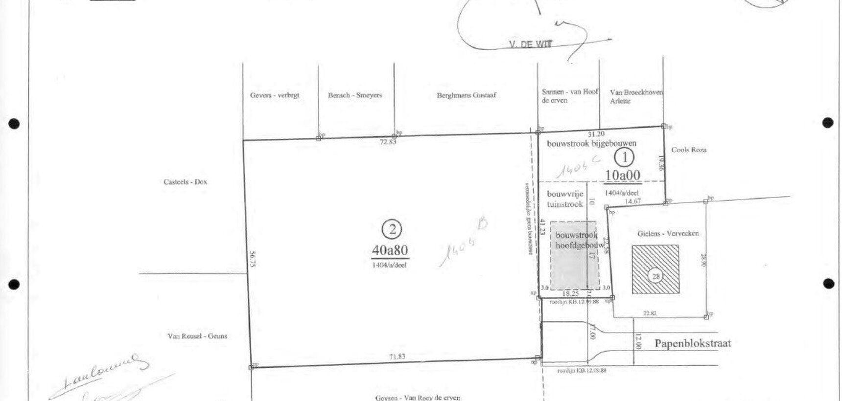
Rustig gelegen perceel bouwgrond van 10are met uitbreidingsmogelijkheid van 40a80ca!

EUR 155.000

Papenblokstraat 30, 2400 Mol

Dit perceel is uiterst rustig gelegen aan het einde van een doodlopende straat in Mol-Ezaart. Dankzij deze ligging geniet je van maximale privacy en minimale verkeershinder. De kleuter- en lagere school bevinden zich op wandelafstand, terwijl lokale winkels en het centrum vlot bereikbaar zijn per fiets. Bovendien is er een goede verbinding met omliggende gehuchten en gemeenten.

Het L-vormige perceel biedt de mogelijkheid tot het bouwen van een ruime open bebouwing. Met een mooie straatbreedte van 18,25 m en een indrukwekkende breedte van 31,20 m aan de achterzijde creëert dit perceel tal van mogelijkheden, onder andere voor het oprichten van bijgebouwen binnen de voorziene bouwzone.

Het toegelaten gabarit voor een eengezinswoning in open bebouwing bedraagt 17 m op het gelijkvloers, 13 m op de eerste verdieping en 9 m op de dakverdieping.
De kroonlijsthoogte bedraagt maximaal 6,50 m over een diepte van 13 m en voor de overige diepte maximaal 3,50 m. De nokhoogte bedraagt maximaal 11,50 m.

De eerste 9 m dient verplicht te worden voorzien van een hellend dak met een dakhelling van 45°. De resterende bouwdiepte moet worden afgewerkt met een plat dak.

Op een perceel van 10 are mag 15% of 150 m² worden aangewend voor bijgebouwen en verhardingen in de tuin, wat bijkomende mogelijkheden biedt.

Extra troef: er bestaat de mogelijkheid tot het bijkomend aankopen van het aansluitende perceel landbouwgrond van maar liefst 4.080 m² (40a80ca). Dit biedt uitzonderlijke opportuniteiten voor natuur- en dierenliefhebbers of voor wie extra ruimte en privacy wenst. De prijs van dit bijkomende perceel bedraagt € 48.000.

Ben je op zoek naar een rustig gelegen bouwgrond met uitbreidingsmogelijkheden én de optie tot aankoop van een aangrenzend perceel? Dan is dit perceel absoluut het overwegen waard.

Algemeen

Type
Grond
Grond
Prijs
€ 155.000
Beschikbaarheid
Vanaf akte
Ligging
Landelijk
Woonwijk
Aan rustige weg

Buiten

Perceel opp.
1.000,00 m²
Tuin
Ja
Oriëntatie tuin
Oost
Riolering
Ja
Terreinbreedte
18,25 m

Comfort

Elektriciteit
Ja
Aardgas
Ja
Aansluiting water
Ja
Telefoon
Ja
Glasvezel
Ja

Stedenbouwkundige informatie

Bestemming
Woongebied
Bouwvergunning
Nee
Verkavelingsvergunning
Nee
Voorkooprecht
Nee
Dagvaarding
Geen rechterlijke herstelmaatregel of bestuurlijke maatregel opgelegd
P-score
D
Jan Joris

Uw expert

Jan Joris

+32 491 344 931

Niet gevonden wat je zocht?
Laat ons zoeken!

Bezoek inplannen? Meer info?

Gelieve uw voornaam in te vullen
Gelieve uw naam in te vullen
Gelieve uw straat in te vullen
Gelieve uw nummer in te vullen
Gelieve uw bus in te vullen
Gelieve uw e-mail in te vullen
Gelieve uw postcode in te vullen
Gelieve uw plaats in te vullen
Gelieve uw telefoon in te vullen
Gelieve uw bericht in te vullen
Gelieve akkoord te gaan met onze algemene voorwaarden