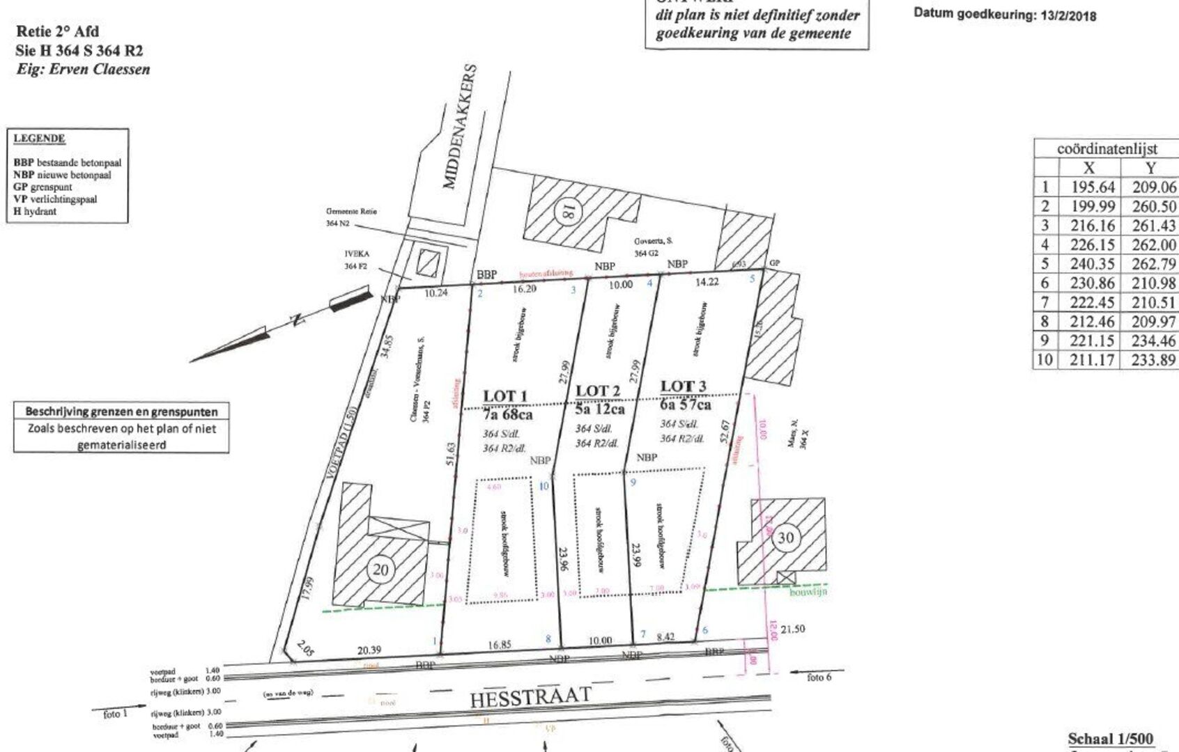
Leuke bouwgrond van 7a68ca voor vrijstaande woning in Retie-Schoonbroek
EUR 195.000
Hesstraat 24, 2470 Retie
Deze ruime bouwgrond van 7a68ca voor een open bebouwing is gelegen langs de Hesstraat in Retie.
Je geniet hier van een goede verbinding met de E34 (snelweg Antwerpen - Eindhoven) en de omliggende gemeenten Arendonk, Dessel, Kasterlee en Oud-Turnhout.
Het perceel heeft een straatbreedte van 16,85 meter, een diepte van ca. 51 meter en is geschikt voor een open bebouwing met een zuidoost georiënteerde tuin.
De te bouwen woning heeft een maximum breedte van 9,86 meter en een diepte van maximum 17 meter.
Bouwvoorschriften:
- bouwvolume: max. 9,86 m breed op max. 17 m diep
- dakvorm: vrij te kiezen
- kroonlijsthoogte: max. 6,5 m
- nokhoogte: max. 11 m
- bijgebouwen: min 10m achter de achtergevelbouwlijn en binnen de strook zoals aangeduid op plan, 3m afstand van de perceelsgrenzen, platdak toegelaten op de perceelgrens.
- oppervlakte bijgebouwen: max 10% van perceeloppervlakte
*zorgwoning toegestaan mits naleven van voorwaarden
* kelder toegelaten
** vastgoedinfo in aanvraag **
Algemeen
- Type
- Grond
Grond - Prijs
- € 195.000
- Beschikbaarheid
- Onmiddellijk
Buiten
- Perceel opp.
- 768,00 m²
- Tuin
- Ja
- Oriëntatie tuin
- Zuidoost
- Riolering
- Ja
- Terreinbreedte
- 16,85 m
- Terreindiepte
- 51,63 m
- Gevelbreedte
- 9,86 m
Comfort
- Elektriciteit
- Ja
- Aansluiting water
- Ja
- Telefoon
- Ja
- Glasvezel
- Ja
Downloads

Uw expert
Ward Van Genechten
+32 491 564 772
ward@verlindenvastgoed.be
Niet gevonden wat je zocht?
Laat ons zoeken!