Woning met 3 slpks, schuur met 3 stallen en weiland op 2.288 m² nabij Geel-centrum !

EUR 1.750 p/m

In optie

Malosewaver 31, 2440 Geel

Bezoek aanvragen

BEZOEK AANVRAGEN ENKEL MOGELIJK VIA VOLGENDE LINK: verlinden.mijnhuurprofiel.be

Rustig gelegen hoevewoning in agrarisch gebied, omgeven door weilanden, doch op slechts 3 kilometer van de markt van Geel. Vlotte verbinding naar Mol, Meerhout, de Ring van Geel naar Lommel, en de E313. Achteraan geniet je van een prachtig wijds zicht op weilanden.

Je betreedt de woning via een inkomhal met vestiairekast. De woonkamer biedt ruimte voor een eethoek en een zithoek. De aansluitende keuken is uitgerust met een kookvuur, dampkap, oven, vaatwasser en Amerikaanse koelkast. Verder is er op het gelijkvloers een slaapkamer met ingebouwde kast, een badkamer met ligbad en lavabo in meubel, een apart toilet, een CV ruimte met aansluitingen voor wasmachine, en nog een kamer die dienst kan doen als slaapkamer / bureel / speelkamer / hobbyruimte / berging / ... .

Op de verdieping is er een ruime slaapkamer van 24 m² met 2 aparte zones, ideaal voor 2 kinderen die in één ruimte willen slapen. De rest van de verdieping is een onafgewerkte zolder (45 m²).

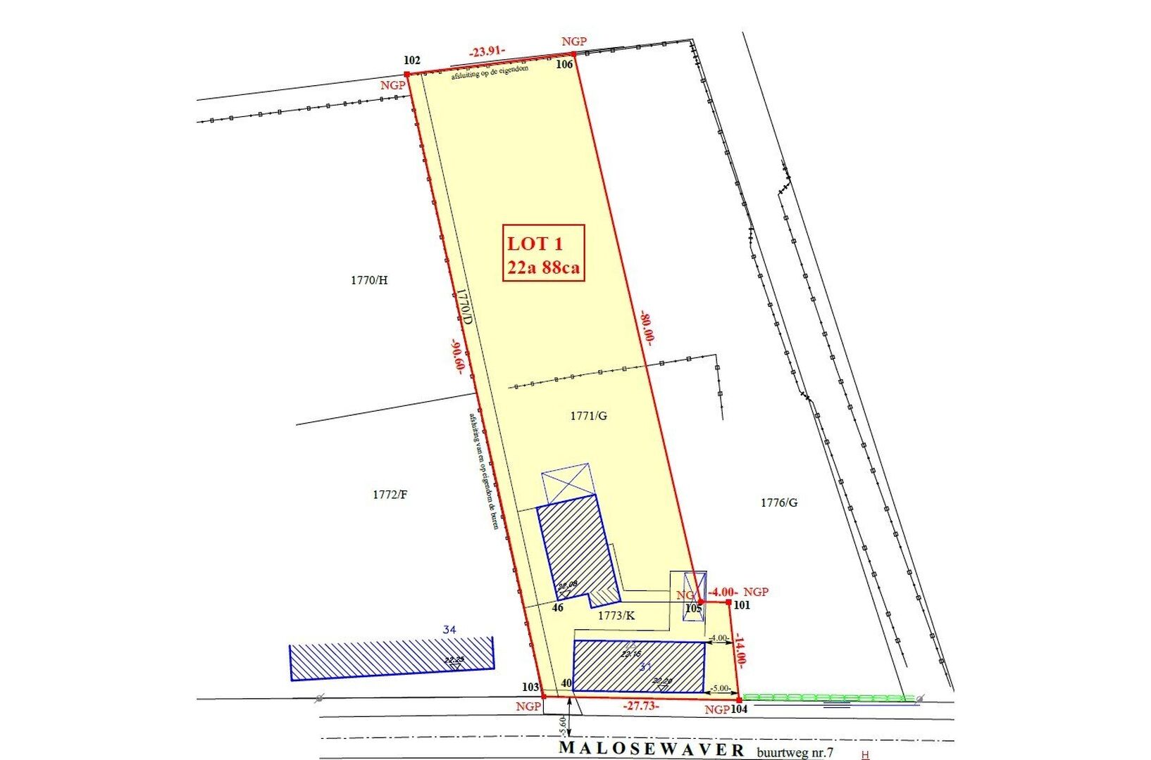
Het betreft een ruim, afgesloten en zuid gericht perceel van 2.288 m², voorzien van een ruime schuur (met 3 stallen) van 104 m² (kroonlijsthoogte van 4 meter en een nokhoogte van 7,75 meter) en een tuinberging met overdekt terras. Achteraan het perceel bevindt er zich een weiland (+/- 20 meter * 45 meter). Het dak van de schuur wordt nog hersteld.

In alle ruimtes is er verlichting aanwezig en de meeste ramen zijn voorzien van raamdecoratie. De woning werd opnieuw geschilderd en ook de buitengevels worden nog geschilderd.

Foto's van de keuken volgen binnenkort, deze ruimte wordt momenteel nog opgefrist.

EPC: 1.015 kWh / m² (label F) | na verder onderzoek blijkt de EPC een label D te behalen | er worden nog enkele kleine energetische werken uitgevoerd, daarna zal er een finale nieuwe EPC opgemaakt worden.

Elektrische keuring: conform.

Beschikbaarheid +/- 15 december 2025. Verhuur voor korte termijn is tevens bespreekbaar.

Algemeen

Type
Woning
Huis
Prijs
€ 1.750 per maand
Staat
Normaal
Ligging
Vrij uitzicht
Landelijk
Open ligging

Buiten

Perceel opp.
2.288,00 m²
Tuin
Ja
Oriëntatie tuin
Zuid
Terreinbreedte
27,73 m
Terreindiepte
90,60 m
Gevelbreedte
18,52 m

Indeling

Zolder
45,00 m²
Keuken
16,25 m²
Slaapkamers
3
Slaapkamer 1
24,00 m²
Slaapkamer 2
17,00 m²
Slaapkamer 3
16,00 m²
Badkamers
1
Woonkamer
30,25 m²

Comfort

Parking
Ja
Garage
Ja
Elektriciteit
Ja
Aansluiting water
Ja
Kabeltelevisie
Ja

Energie

Beglazing
Dubbele beglazing
Isolatie
Dakisolatie
Elektriciteit
conform keuringsattest
Verwarming
Stookolie

Stedenbouwkundige informatie

G-score
A
P-score
A
Stef Wouters

Uw expert

Stef Wouters

+32 14 756 756

Niet gevonden wat je zocht?
Laat ons zoeken!

Bezoek inplannen? Meer info?

Gelieve uw voornaam in te vullen
Gelieve uw naam in te vullen
Gelieve uw straat in te vullen
Gelieve uw nummer in te vullen
Gelieve uw bus in te vullen
Gelieve uw e-mail in te vullen
Gelieve uw postcode in te vullen
Gelieve uw plaats in te vullen
Gelieve uw telefoon in te vullen
Gelieve uw bericht in te vullen
Gelieve akkoord te gaan met onze algemene voorwaarden